Nowoczesne 2-pokojowe mieszkanie z balkonem
Spółka LOCUS HOME to DEWELOPER który realizuje inwestycje mieszkaniowe na…
$451,528
mazowieckie, Pniewy, Tomaszówka
sprzedaż
$590,000





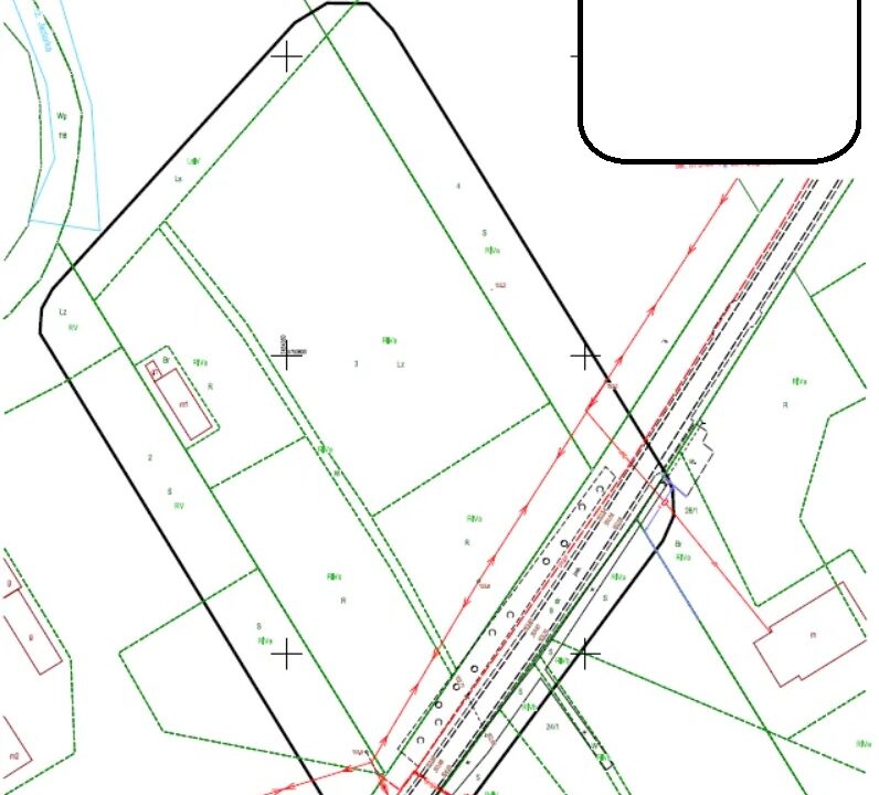
Działka budowlana we wsi Tomaszówka, działka na niewielkim wzniesieniu tuż przy rzece Jeziorce, z prawem zabudowy mieszkaniowej, zagrodowej i uzupełniającej, znajdującej się ok. 7 minut od zjazdu z trasy S7 na Grójec.
Powierzchnia 9000 mkw z czego 5400 mkw to obszar zabudowy pozostałe 3600 mkw użytek leśny. Wymiary ok. 60 m. na 150 m. Na działce znajduje star, niewielka zagroda z malutkim budynkiem mieszkalnym.
Możliwość zakupu działki z pozwoleniem na budowę dla wybranego projektu.
Jest możliwość podłączenia się do światłowodu, gazu (ok. 60 metrów od granicy działki) oraz wykopania studni z żywą wodą. Linia energetyczna na działce. Złożono jest wniosek o przyłącze.
Po sąsiedzku stawy hodowlane z pstrągami. Blisko sklepy spożywcze, kościół, warsztaty samochodowe, trasy rowerowe, miejscowość Osieczek, gdzie można wypocząć, zjeść, poopalać się, popływać kajakami, skorzystać z siłowni plenerowej czy placu zabaw.
W pobliżu znajduje się szkoła podstawowa z punktem przedszkolnym.
Zgodnie z miejscowym planem zagospodarowania przestrzennego Gminy Pniewy:
Ustala się następujące zasady użytkowania i zagospodarowania terenów otwartych oznaczonych symbolem R:
istniejąca rozproszona zabudowa zagrodowa podlegać może:
a) przebudowie, rozbudowie oraz wymianie,
b) uzupełnieniu o niezbędne elementy infrastruktury technicznej z dopuszczeniem lokalnych
rozwiązań w zakresie odprowadzania i oczyszczania ścieków i zaopatrzenia w wodę,
) uzupełniającą formą użytkowania terenów rolnych mogą być:
a) nowe budynki gospodarcze
b) zabudowa zagrodowa
c) budynki mieszkalne i siedliska dla rolników, jeżeli stanowią one uzupełnienie istniejącej
rozproszonej zabudowy zagrodowej i nie wymagają budowy nowych dróg dojazdowych,
d) budynki mieszkalne i gospodarcze, jeżeli stanowią uzupełnienie istniejącej zagrody"
Cisza, spokój, przestrzeń, zdrowe świeże powietrze, miłe sąsiedztwo i więcej..
Zapraszam do współpracy
OFERTA SILVER HOUSE
Spółka LOCUS HOME to DEWELOPER który realizuje inwestycje mieszkaniowe na…
$451,528
Mieszkanie świeżo po remoncie, w jednej z najlepiej skomunikowanych lokalizacji…
$489,000
Owning a home is a keystone of wealth… both financial affluence and emotional security.
Suze Orman